战鹰118
关注
战鹰黄骅港等你
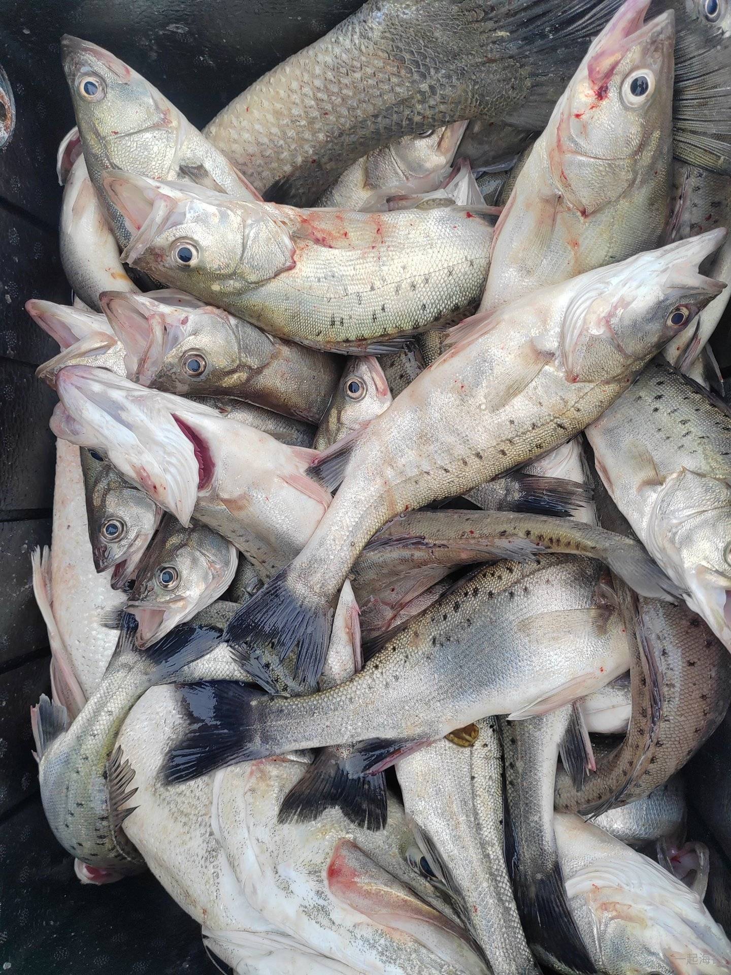
黄骅港战鹰带你领略钓鱼高光时刻,钓鱼人是快乐的
发布于 10-09 22:15
共0条评论
暂时还没有评论
说点什么…
17
1
0
暂时还没有评论