北海大鱼船长
关注
北海:大鱼船长海钓🔥
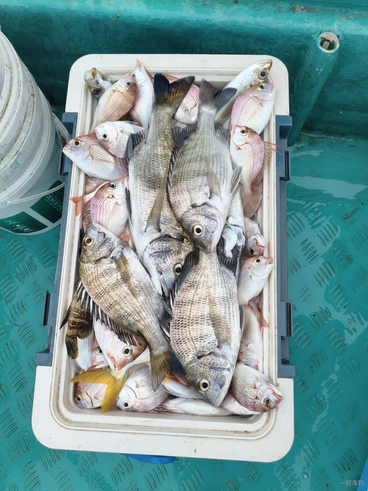
12月份是红鲷黑鲷鱼的季节。 天气好,天天都带队出发 北海市中心外砂桥头出发
发布于 12-02 18:46
共0条评论
暂时还没有评论
说点什么…
31
6
0
暂时还没有评论