休闲钓手
关注
生活的目标,不是爱情,是快乐
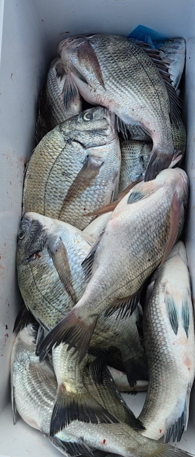
11.7号即墨田横船矶
发布于 11-07 21:46
共0条评论
暂时还没有评论
说点什么…
19
7
0
暂时还没有评论